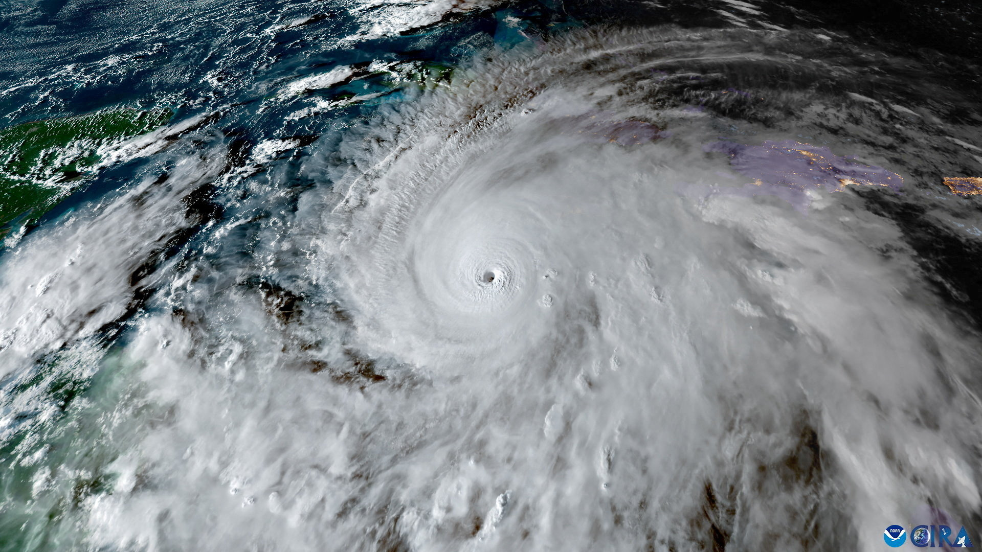
O que significa a categoria 5 atribuída ao Furacão Melissa, que atingirá a Jamaica
Tempestade mais forte em 174 anos deve atingir a ilha nesta terça-feira, ameaçando até 1,5 milhão de pessoas com ventos de até 257 km/h e chuvas intensas
The post O que significa a categoria 5 atribuída ao Furacão Melissa, que atingirá a Jamaica appeared first on InfoMoney.
