'Sinlaku': supertufão no Pacífico pode sinalizar El Niño e trazer mais chuva ao Sul e calor ao Sudeste do Brasil; entenda
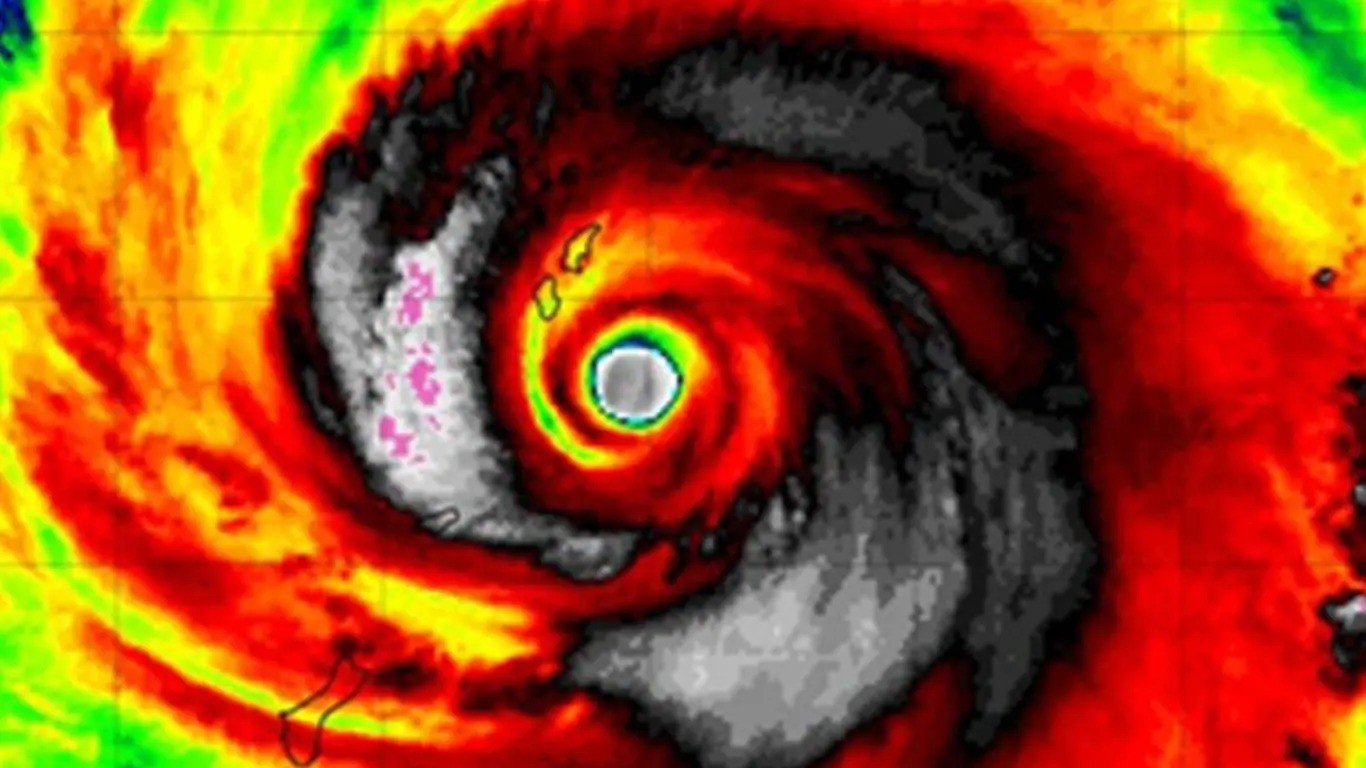
O supertufão Sinlaku se formou no Pacífico Oeste com intensidade equivalente a um furacão de categoria 5 e pode ter impactos indiretos no Brasil ao indicar a possível formação de um El Niño, fenômeno que altera padrões climáticos no país.
Clima Extremo: Citando impactos ambientais, estado dos EUA é o primeiro no país a proibir construção de centros de dados para IA
Vídeos: Inundações no sul da Rússia deixam cinco mortos e milhares de evacuados
No Brasil, os efeitos costumam incluir aumento de chuvas no Sul, com risco de enchentes e temporais, enquanto Centro-Oeste e Sudeste tendem a registrar ondas de calor mais intensas. No Nordeste, o cenário é de maior risco de seca.
O fenômeno foi impulsionado por temperaturas da superfície do mar muito acima da média, em um processo de rápida intensificação que levou pouco mais de um dia para atingir força extrema, segundo informações do portal MetSul.
Esse calor oceânico fornece grande quantidade de energia para ciclones tropicais e está associado a mudanças mais amplas no sistema climático do Pacífico.
Redistribuição de calor
Segundo o quadro observado, a formação do Sinlaku pode refletir uma redistribuição de calor no oceano, típica da transição para o El Niño.
Durante períodos de La Niña, os ventos alísios concentram águas quentes próximas à Indonésia e à Austrália. Quando esses ventos enfraquecem, o calor se desloca em direção ao centro e leste do Pacífico, transportado por ondas de Kelvin.
Esse processo forma uma faixa de águas quentes no Pacífico equatorial, característica do El Niño, que altera a circulação atmosférica global e influencia o clima em diferentes regiões do planeta.
O El Niño ocorre em ciclos de três a cinco anos e tem impacto direto na agricultura, nos recursos hídricos e na ocorrência de eventos extremos.
No Sul do Brasil, por exemplo, pode favorecer algumas safras, mas também aumenta o risco de eventos climáticos severos. Já a La Niña costuma provocar efeitos opostos.
