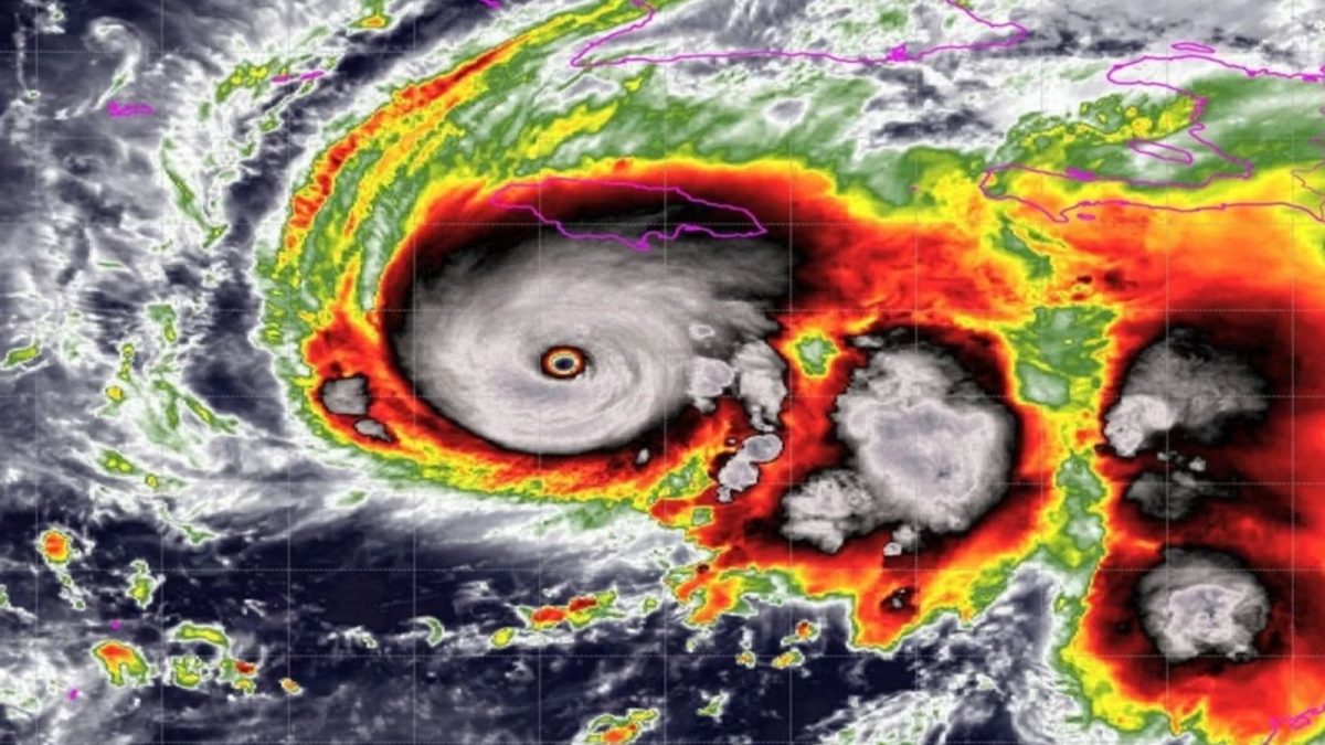
Com ventos de 305 km/h, furacão que afetou 1,5 milhão de pessoas, é eleito o mais destrutivo
Tempestade atingiu 305 km/h, afetou 1,5 milhão de pessoas no Caribe e igualou recorde histórico no Atlântico
O post Com ventos de 305 km/h, furacão que afetou 1,5 milhão de pessoas, é eleito o mais destrutivo apareceu primeiro em ND Mais
